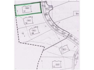
Site No. 15 The Fairways, Killea, Dunmore East, Co. Waterford

Sale Agreed

Viewing Appointment
To request a viewing, please complete the form below or call us on 051 85 22 33
DD slash MM slash YYYY
Time
:

Fully serviced site, zoned residential, with full planning permission for an architect designed four bedroom dormer residence. Located in Killea Dunmore East, this elevated site is set out over looking the bay of Dunmore East, with views of the Village and Harbour. This is a ready to go development site, fully serviced, with unrestrictive planning permission to any potential purchaser. For further details, Drawings and site map, please call sole selling agents DNG Thomas Reid Auctioneers on 051-852233.

By appointment only